ca. 33.000 m2 bouwgrond in Blagoevgrad - Bulgarije







- Bouwgrond
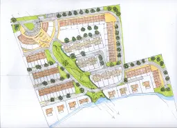
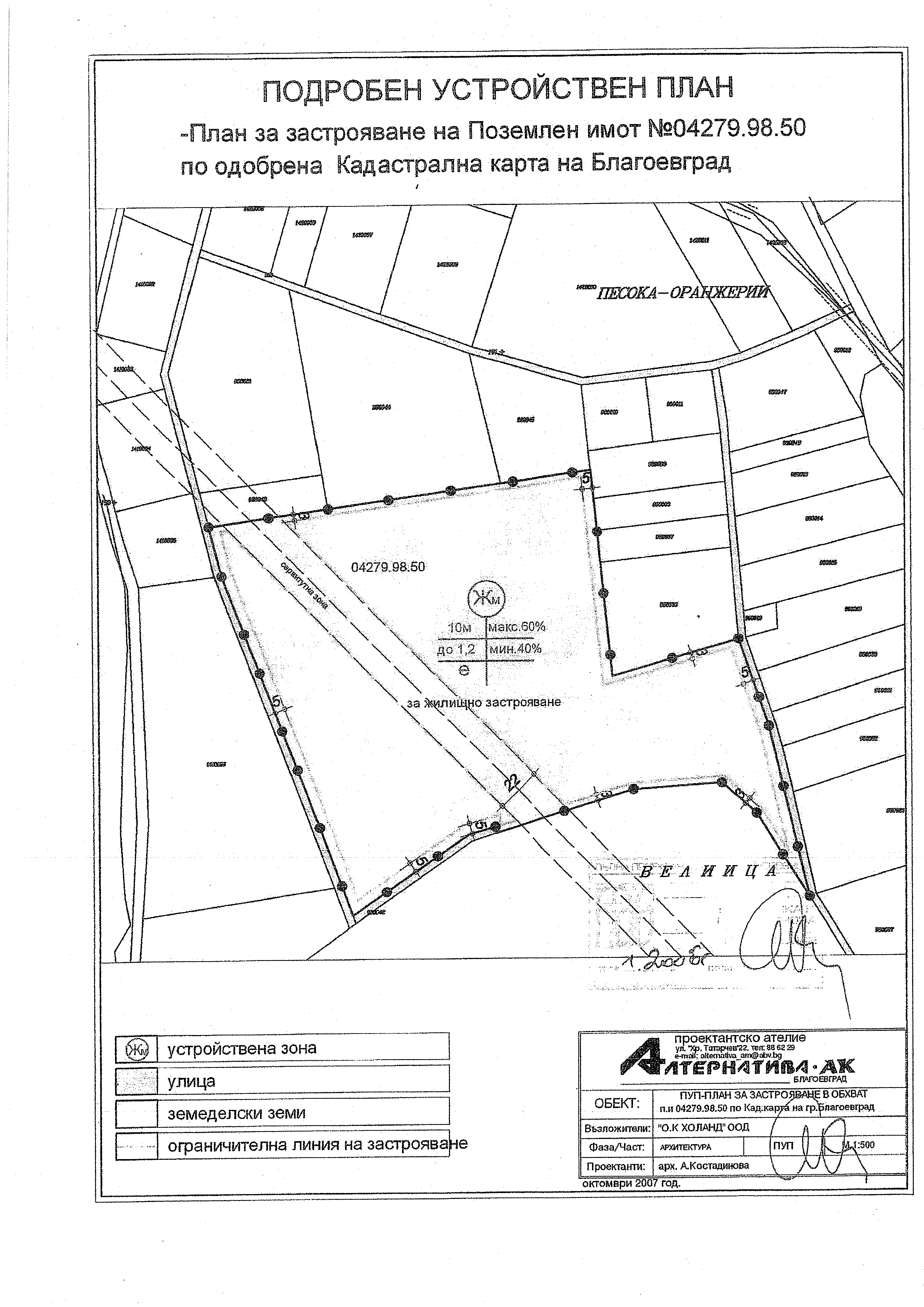
Blagoevgrad is een stad in het zuidwesten van Bulgarije, het administratieve centrum van de provincie Blagoevgrad, met ongeveer 76.000 inwoners en ligt aan de oever van de rivier de Blagoevgradska Bistritsa. De stad is onbetwistbaar het economische en culturele centrum van het zuidwesten van Bulgarije. Het ligt in de vallei van de rivier de Struma aan de voet van het Rila- en Pirin-gebergte, ongeveer 95 km ten zuiden van de hoofdstad Sofia en vlakbij de Griekse, Servische en Macedonische grens. De gemeente Blagoevgrad beslaat een prachtige vallei in de Centrale Vallei van de Struma op de zuidwestelijke hellingen van het Rilagebergte en de zuidoostelijke grens met de berg Vlahina. De stad ligt aan beide oevers van de rivier Bistrica en aan de internationale weg E 79. Blagoevgrad heeft een autovrij centrum met bewaard gebleven 19e-eeuwse architectuur met talloze restaurants, cafés, coffeeshops, clubs en boetieks. Blagoevgrad is de thuisbasis van twee universiteiten, de Zuid-West Universiteit “Neofit Rilski” en de Amerikaanse Universiteit in Bulgarije. Ook “Sts. Cyril en Methodius Nationale Humanitaire Middelbare School”, de voormalige Bulgaarse Middelbare Mannenschool van Thessaloniki verhuisde in 1913 van Thessaloniki naar Blagoevgrad. Attracties in de omgeving zijn onder andere het nieuw gebouwde Aqua Park en het nabijgelegen berg- en skigebied Bodrost, maar de grootste attractie is zeker de heropleving van de oude stadswijk “Varosha”. Hier hebben ze de authentieke uitstraling van de huizen en smalle geplaveide straatjes behouden. In de wijk zijn priyuteni staat poppentheater, kunstgalerie, museum en tal van studio's van kunstenaars en ambachtslieden. Commercieel gereguleerd perceel met voorgevel van hoofdweg gelegen naast de E-79, woongebied Strumsko in Blagoevgrad. Perfect voor huizen, woonruimte, winkels, supermarkten, magazijnen, kantoren of een logistiek centrum. Vlakbij het perceel is een benzinestation en een retailpark waar Technomarket en Mr Bricolage zijn gevestigd. Het perceel ligt dicht bij de hoofdweg E-79, Sofia - Kulata en op een perfecte strategische locatie in de stad. Het land achter dit perceel is opgenomen in het gemeentelijke stadsplan voor de bouw van een hele woonwijk. Het perceel is volledig gereguleerd en heeft een oppervlakte van 33 602 m², Locatie: - 4500 m van het centrum van Blagoevgrad; 1700 m van de hypermarkten Technomarket Europe en Mr. Bricolage; - 350 m van de hoofdweg E 79. Verkoper heeft op locatie een contactpersoon, welke kijkmomenten kan organiseren en je als koper kan assisteren bij de aankoop van het beheer van het project. - Aanvullende informatie: - Doel: - Voor wooncomplex. - Bouwindicatoren: - Intensiteitsverhouding - 1,2; - dichtheid - 60%; - hoogte - 10 meter en het pand - heeft elektriciteit, water en riolering. Richtprijs is € 35,= per m2 Volgend jaar komt de Euro in Bulgarije, wat zal betekenen dat de prijzen naar verwachting zullen stijgen.
Over het object
- TypeBouwgrond
- GroepGronden
- GebruikssituatieOnbekend
Over de veiling
- SoortPartnerveiling
- Datum
- OrganisatorTroostwijk Auctions
- ToewijzingRecht van gunning
Kosten
Houd, naast het veilingbedrag, rekening met de volgende kosten:
Dataroom
Contact
Vastgoed Veiling Overschiestraat 59 1062 XD Amsterdam