Breda, Balfortstraat 1 A









- Appartement
Het appartementsrecht, rechtgevende op het uitsluitend gebruik van de woning, bestaande uit: - eigen trapingang op de begane grond; - woongedeelte op de eerste (1e) verdieping; en - woongedeelte op de tweede (2e) verdieping met dakterras, plaatselijk bekend 4811 RR Breda, Balfortstraat 1 A.
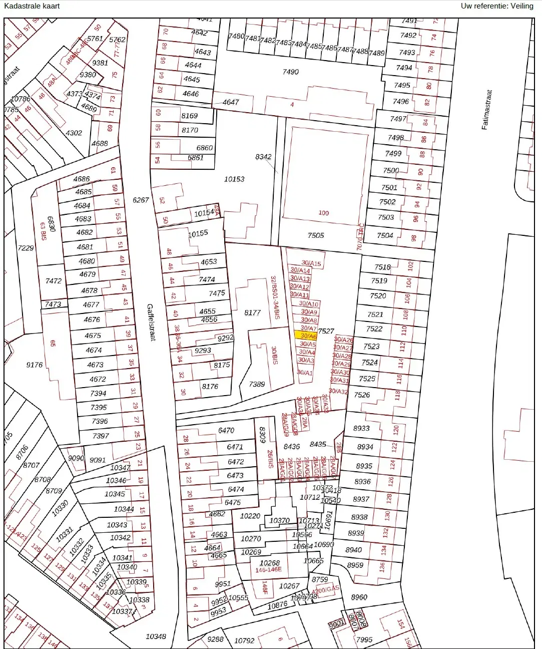
Kadastrale gegevens:
Kadastraal bekend gemeente Breda, sectie E, complexaanduiding 7875-A, appartementsindex 2.
Gebruikssituatie:
Uit een inzage bij de Basisregistratie Personen (BRP) en het handelsregister blijkt dat er geen (rechts)personen staan ingeschreven op het adres. Aan de verkoper is niet gebleken dat het veilingobject aan derden in huur of gebruik is afgestaan. Voor het geval daar toch sprake van mocht zijn dan zal de verkoper niet aansprakelijk zijn voor het bestaan van een dergelijke overeenkomst en voor de daaruit voortvloeiende gevolgen. Voor de van toepassing zijnde bepalingen wordt verwezen naar de akte van vaststelling veilingvoorwaarden.
Over het object
- TypeAppartement
- GroepWoningen
- Bouwjaar1928
- GebruikssituatieOnbekend
Bezichtigingen
Over de veiling
- SoortBeslagveiling
- BiedmethodeOpbod en afslag
- StatusNiet gegund
- Datum
- OrganisatorVastgoed Veiling
- InzetpremieTen laste verkoper
- ToewijzingRecht van gunning
- BelastingOverdrachtsbelasting
Openbare verkoop ex. artikel 514 e.v. Wetboek van Burgerlijke Rechtsvordering.
Op deze veiling zijn de AVVI 2015 en bijzondere veilingvoorwaarden van toepassing.
Kosten
Houd, naast het veilingbedrag, rekening met de volgende kosten:
- + Bijkomende kosten à 6.285,45 EUR
- + Overdrachtsbelasting
Dataroom
- Bijzondere veilingvoorwaarden.pdf
- AVVI 2015.pdf
- Kostenoverzicht.pdf
- splitsingstekening A2 Wonen.pdf
- Akte van splitsing App wonen Brondocument 15100-155-HYP4 onroerende zaken (2).pdf
- Modelreglement App Wonen Afschrift openbaar register - Hyp4 dl 8564 nr 26 reeks BREDA.pdf
- uittrekselkadastralekaart 23-10-2025.pdf
- foto9 - verstrekt door derde.jpg
- foto8 - verstrekt door derde.jpg
- foto7 - verstrekt door derde.jpg
- foto6 - verstrekt door derde.jpg
- foto5 - verstrekt door derde.jpg
- foto4 - verstrekt door derde.jpg
- foto3 - verstrekt door derde.jpg
- foto2 - verstrekt door derde.jpg
- foto1 - verstrekt door derde.jpg
Eindcombinatie
Onderdeel van de combinatieveiling:
Notaris
VDB Notarissen B.V. Dhr. William Kuijpers Eindhovenseweg 126 5582 HW Waalre
wietekevanstraten@vdbn.nl
Tel. +31 (0)85 008 39 07