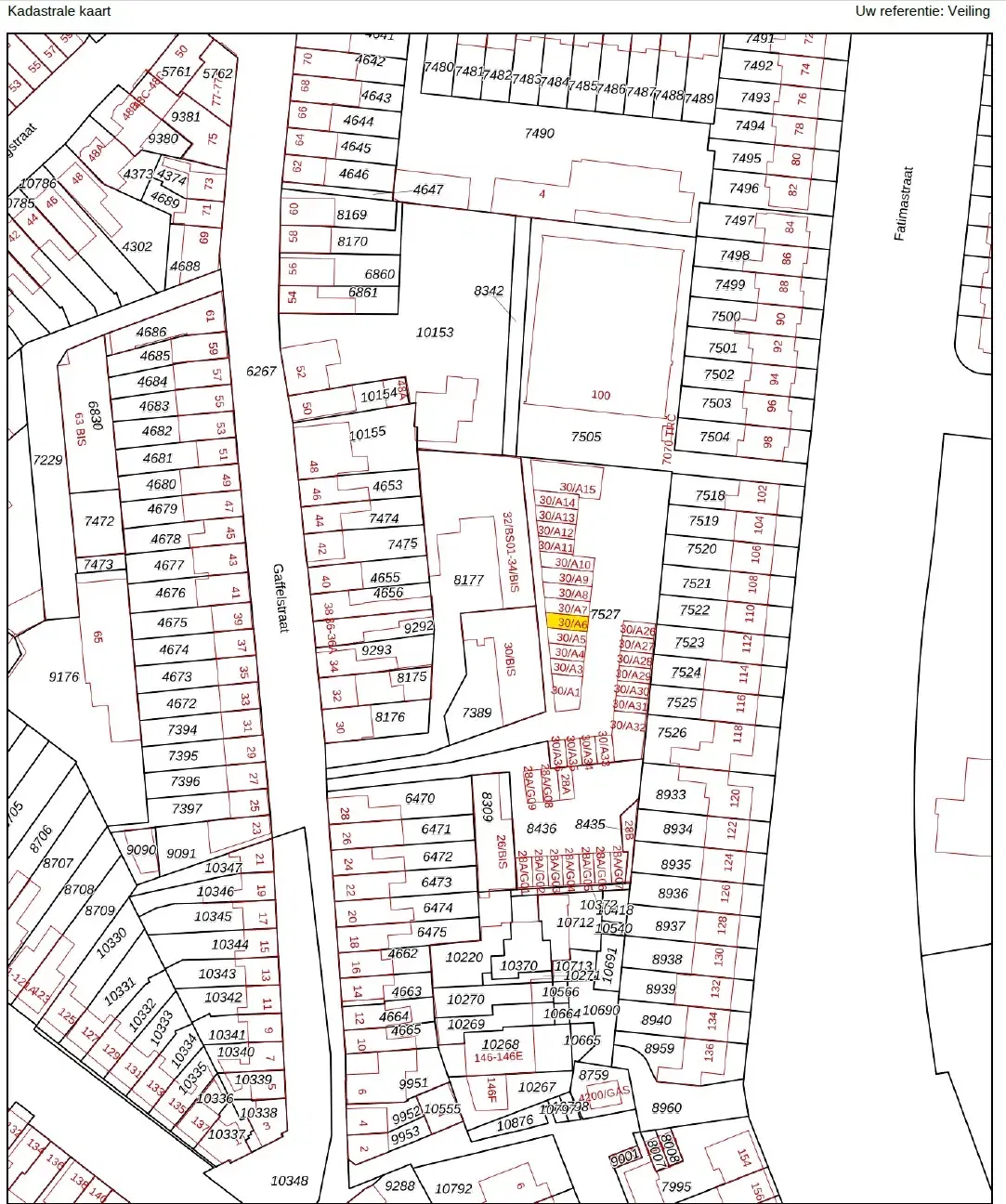
Breda, Gaffelstraat (ongenummerd) (Ginneken sectie I complexaanduiding 10546-A6)









- Garagebox
Het appartementsrecht, rechtgevende op het uitsluitend gebruik van een garagebox/opslagruimte en verder toebehoren, plaatselijk bekend 4835 AN Breda, Gaffelstraat (ongenummerd).
Kadastrale gegevens:
Kadastraal bekend gemeente Ginneken, sectie I, complexaanduiding 10546-A, appartementsindex 6.
Gebruikssituatie:
Aan de verkoper is niet gebleken dat het veilingobject aan derden in huur of gebruik is afgestaan. Voor het geval daar toch sprake van mocht zijn dan zal Verkoper niet aansprakelijk zijn voor het bestaan van een dergelijke overeenkomst en voor de daaruit voortvloeiende gevolgen. Voor de van toepassing zijnde bepalingen wordt verwezen naar de Akte van vaststelling veilingvoorwaarden.
Over het object
- TypeGaragebox
- GroepParkeerplaatsen
- GebruikssituatieOnbekend
Bezichtigingen
Over de veiling
- SoortBeslagveiling
- BiedmethodeOpbod en afslag
- Datum
- OrganisatorVastgoed Veiling
- InzetpremieTen laste verkoper
- ToewijzingRecht van gunning
- BelastingOverdrachtsbelasting
Openbare verkoop ex. artikel 514 e.v. Wetboek van Burgerlijke Rechtsvordering.
Op deze veiling zijn de AVVI 2015 en bijzondere veilingvoorwaarden van toepassing.
Kosten
Houd, naast het veilingbedrag, rekening met de volgende kosten:
- + Overdrachtsbelasting
Dataroom
- Bijzondere veilingvoorwaarden.pdf
- AVVI 2015.pdf
- splitsingstekening A6 Brondocument 68506-34-HYP4 onroerende zaken (3).pdf
- Akte van wijziging splitsing Garage Brondocument 68506-34-HYP4 onroerende zaken (3).pdf
- rectificatie akte van wijziging splitsing garage Brondocument 68520-160-HYP4 onroerende zaken (3).pdf
- modelreglement garage Afschrift openbaar register - Hyp4 dl 15416 nr 160 reeks BREDA.pdf
- Kadastrale kaart - Ginneken I 10546 A6.pdf
Eindcombinatie
Onderdeel van de combinatieveiling:
Notaris
VDB Notarissen B.V. Dhr. William Kuijpers Eindhovenseweg 126 5582 HW Waalre
wietekevanstraten@vdbn.nl
Tel. +31 (0)85 008 39 07